如何查验发票
一、要看发票是否正规
1、凡经营性发票一般为增值税普通发票,少数有剪口发票,发票上端带有“全国统一发票监制章、国家税务局监制”等字样的椭圆章。如您从事购物、印刷等业务时,要向对方索要此种发票。
2、非经营性结算票据一般是指由财政部门统一监制的行政事业单位资金往来结算票据,上端带有“财政票据监制章、辽财政监字第***号”等字样的椭圆章。此种票据主要用于各单位之间的非经营性资金往来,亦称往来结算票据。
3、在商店随处可购买到的收据不能作为报销凭据。
二、看发票的大小写是否完全相符,否则不能报销。
三、填写的项目要全。如单位、数量、金额必须全部填写。
四、发票不能有任何涂抹或改动。
五、发票需要加盖发票专用章。
六、原始发票报销前,需在发票背面并远离装订线的位置上由经手人、验收人、本部门领导、分管校领导签字后,方可报销。
例1:购灯泡二种规格,二种价格,只填写金额,不填单价,为不合格;应是:第一行品名填写灯泡,单位填写1.00元,数量填写10个,金额处填写10.00元;第二行品名填写灯泡,单价填写2.00元,数量填写5个,金额填写10.00元。
例2:购置小的物品,且数量又多但金额不大,一张发票写不下的情况下时,可要求商家附一张清单并加盖商家公章,附在发票后面备查。如购水果30元,清单可写梨单价2.00元,数量5斤,金额10.00元;香蕉单价3.00元,数量5斤,金额15.00元;苹果单价2.00元,数量5斤,金额10.00元。
附:票样
1铁岭市现执行的往来结算票据(机打票)票样:

2商业用剪口发票票样及填写方法:

3 增值税普通发票(机打发票)票样

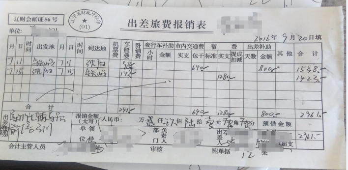
4差旅费报销单填写方法:
正面:

背面:

5原始凭证粘贴纸的填写方法
正面:

背面:

做到以上几点,您才能减少不必要的麻烦,顺利报销,提高工作效率。
计财处谢谢各位的合作哟!!!







辽公网安备 21122102000136号-1